Lá sung là một loại rau ăn kèm với nhiều món ăn như gỏi, nem thính,… Tuy nhiên, ít người biết, lá sung cũng là một vị thuốc dân gian, có nhiều công dụng đối với sức khỏe. Cùng Lorca Việt Nam tìm hiểu lá sung nấu nước uống có tác dụng gì qua bài viết dưới đây nhé!
Xem thêm:

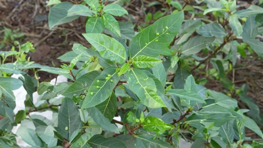
Đặc điểm của lá sung
Lá sung là lá của cây sung. Quả sung và lá sung đều có thể ăn được. Lá sung thường có những nốt phồng, giống như bong bóng nổ ở chiếc bánh đa nướng. Những nốt này được tạo thành là do bị một loại sâu kí sinh. Thời điểm những nốt sần đã to thì sâu cũng đã bỏ đi nên trong nốt sần không có trứng sâu hay sâu còn sót lại, hoàn toàn có thể ăn được.
Theo Đông y, lá sung có tính mát, vị ngọt hơi chát. Có công dụng thông huyết, giảm đau, lợi tiểu và tiêu viêm. Trong dân gian, người ta còn dùng lá sung để trị sốt rét, lợi sữa hay tê thấp,…

Lá sung có tác dụng gì?
Lá sung nấu nước uống có tác dụng gì? Có thể kể tới một số tác dụng tiêu biểu như:
Chống ung thư
Theo nghiên cứu, trong lá sung và nhựa của cây sung có chứa một số chất có khả năng kháng lại các tế bào ung thư. Mặc dù chưa có nghiên cứu chính thức nhưng chúng có tiềm năng trong việc triệu trị và phòng ngừa bệnh ung thư. Ví dụ như ung thư ruột kết, ung thư vú, ung thư gan,…

Ổn định huyết áp
Lá sung có hàm lượng kali cao. Kali đóng vai trò quan trọng trong việc làm giảm và kiểm soát huyết áp ở mức ổn định. Uống nước lá sung giúp điều chỉnh huyết áp, làm giảm lượng mỡ trong máu. Nhờ đó giúp cải thiện sức khỏe tim mạch, giảm nguy cơ mắc các bệnh tim mạch.
Tốt cho gan
Lá sung nấu nước uống có thể chữa bệnh về gan. Chúng có tác dụng thanh nhiệt, giải độc rất tốt. Uống trà lá sung làm giảm nóng gan, thanh nhiệt và chữa vàng da do gan.

Tốt cho bệnh nhân tiểu đường
Lá sung có tác dụng bảo vệ gan và giảm glucose có trong máu. Theo một nghiên cứu, những người uống trà lá sung sau mỗi bữa ăn cần liều lượng insulin thấp hơn so với những người không uống trà lá sung.
Trị bệnh trĩ
Lá sung không chỉ chữa các bệnh sốt, đau nhức mà còn có khả năng đẩy lùi triệu chứng của bệnh trĩ.
Ngoài sử dụng để pha trà uống mỗi ngày, để điều trị bệnh trĩ, bạn còn có thể dùng lá sung để xông.
Giảm cân, kiểm soát cân nặng
Lá sung giàu chất xơ nên có tác dụng tốt cho việc giảm cân. Chất xơ không chỉ hỗ trợ hệ tiêu hóa khỏe mạnh, giảm táo bón, tiêu hóa dễ dàng hơn. Thông qua đó, thúc đẩy quá trình trao đổi chất và giải phóng mỡ thừa ở cơ thể. Hơn thế nữa, chất xơ làm tăng cảm giác no, khiến bạn không có nhu cầu ăn thêm các loại thực phẩm khác. Nhờ đó, kiểm soát được lượng thực phẩm nạp vào cơ thể
Tuy nhiên, nếu đang bị xuất huyết hoặc huyết áp thấp thì không nên sử dụng lá sung hoặc uống nước lá sung.

Bài viết trên đã giúp bạn giải đáp câu hỏi lá sung nấu nước uống có tác dụng gì. Đây là một loại lá dễ tìm nhưng lại mang đến nhiều công dụng đối với sức khỏe. Bạn hoàn toàn có thể sử dụng chúng một cách thường xuyên để phòng và chữa bệnh nhé!
Tìm hiểu thêm: Cách sử dụng chất tẩy rửa cho Máy Rửa Chén (bát) đúng cách

